Zakup działki budowlanej

Zakup działki budowlanej – co warto wiedzieć? Zakup działki budowlanej to ważny krok w planach związanych z budową domu. To decyzja, która wymaga odpowiedniego przygotowania i znajomości wielu aspektów, począwszy od sprawdzenia statusu prawnego gruntów, poprzez analizę warunków technicznych, na uzyskaniu wszelkich niezbędnych pozwoleń kończąc. W tym artykule wyjaśniamy, na co zwrócić uwagę przy zakupie

Zakup działki budowlanej Read More »

Geodeta Piotrków Trybunalski – Budujesz Dom? Poznaj Rolę Mapy do Celów Projektowych

Zamierzasz Budować Dom? Dowiedz Się, Dlaczego Potrzebujesz Mapy do Celów Projektowych Wykonanej przez Geodetę! Planujesz budowę domu? Skorzystanie z usług profesjonalnego geodety to podstawa każdej inwestycji budowlanej. Mapa do celów projektowych, tworzona przez specjalistów, pozwala na precyzyjne zaplanowanie budowy i uniknięcie problemów technicznych. W tym artykule wyjaśniamy, dlaczego jest ona niezbędna oraz jakie korzyści oferują

Geodeta Piotrków Trybunalski – Budujesz Dom? Poznaj Rolę Mapy do Celów Projektowych Read More »

Odbiór budynku – Kluczowy etap każdej inwestycji budowlanej

Odbiór budynku – Kluczowy etap każdej inwestycji budowlanej Odbiór budynku – Kluczowy etap każdej inwestycji budowlanej Planujesz budowę domu? Odbiór budynku to jeden z kluczowych etapów każdej inwestycji budowlanej. W tym artykule wyjaśniamy, co to jest odbiór budynku, dlaczego jest on tak ważny oraz jak prawidłowo przeprowadzić ten proces. Co to jest odbiór budynku? Odbiór

Odbiór budynku – Kluczowy etap każdej inwestycji budowlanej Read More »

Adaptacja projektu gotowego cena 2025 – wszystko, co musisz wiedzieć

Adaptacja projektu gotowego cena 2025 – wszystko, co musisz wiedzieć Adaptacja projektu gotowego cena 2025 – wszystko, co musisz wiedzieć Adaptacja projektu gotowego to proces, który może przysporzyć wielu wątpliwości, zwłaszcza jeśli zależy nam na optymalizacji kosztów. W tym artykule dowiesz się, jakie czynniki wpływają na adaptację projektu gotowego cena 2025 oraz jak można minimalizować

Adaptacja projektu gotowego cena 2025 – wszystko, co musisz wiedzieć Read More »

Podział działki? Przygotuj się zanim pójdziesz do geodety

📑 Co musi przygotować właściciel działki do podziału? 1️⃣ Podział „zwykły” (art. 93–94 UGN) Na czym polega:Działka dzielona zgodnie z miejscowym planem (MPZP) albo, jeśli planu brak, na podstawie decyzji o warunkach zabudowy (WZ) lub gdy nie jest sprzeczny z przepisami. Co musisz przygotować: 2️⃣ Podział „niezależny od planu” (art. 95 UGN) Na czym polega:Można

Podział działki? Przygotuj się zanim pójdziesz do geodety Read More »

Mapa do celów projektowych Woźniak

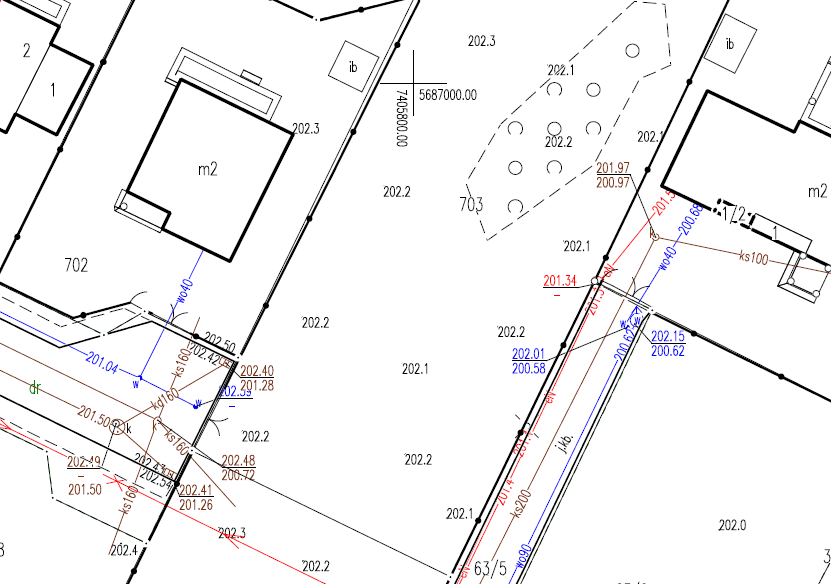
Mapa zasadnicza a mapa do celów projektowych (MDCP)

Czym się różnią i co zamówić w Piotrkowie Trybunalskim? Klienci często pytają: „Czy wystarczy mi mapa zasadnicza z geoportalu, czy muszę zamawiać mapę do celów projektowych (MDCP)?”.Krótko: do projektu budowlanego potrzebujesz MDCP. Mapa zasadnicza służy do orientacji i wstępnych koncepcji — nie zastąpi MDCP. Poniżej dostajesz prostą ściągę + gotową ścieżkę zamówienia online, bez telefonu,

Mapa zasadnicza a mapa do celów projektowych (MDCP) Read More »